Saltar al contenido
Directorio Cubano
  • Inicio
  • Teléfonos
  • Noticias
    • Actualidad
    • Cuba
    • Ciencia y Tecnología
    • Economía
    • Estados Unidos
    • Estudios
    • Emigración
    • Internacionales
    • Política
    • Sociedad
    • Cultura
    • Deportes
  • Trámites
    • Trámites en Estados Unidos
  • Servicios
    • Números de la Charada Cubana
    • Resultados de la bolita
    • Cupones y códigos de descuentos
    • Cupones para alimentos (SNAP)
    • Tasas de Cambio en Cuba
    • Glosario Popular Cubano
    • Correos de Cuba
    • Lista de Paroles aprobados
    • Registros de España en Cuba
  • Turismo
    • Buscar Vuelos, Hoteles y Autos
    • Ofertas
    • Aeropuertos de Cuba
    • Destinos
  • Útiles
    • Teléfonos Útiles
    • Servicios de Urgencias
    • Calcular la tarifa eléctrica
    • Códigos telefónicos
    • Códigos Postales
    • Días feriados en Cuba
    • Calendario de pago
    • Aeropuertos de Cuba
    • Prefijos internacionales
  • Emisoras
    • TV Cubana en Vivo
    • Radio Cubana en Vivo
  • Ayuda
    • Contacto
    • Suscribirse
    • Descarga aplicación
    • ¿Quiénes somos?
    • Equipo Editorial
    • Derechos de Autor – Copyright
    • Términos y Condiciones
    • Widgets gratuitos
    • Gestionar notificaciones
  • Buscar
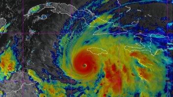
Huracán Melissa alcanza vientos de 280 kilómetros por hora y se dirige hacia Jamaica y Cuba

Huracán Melissa alcanza vientos de 280 kilómetros por hora y se dirige hacia Jamaica y Cuba

27/10/2025 - 6:13 pm
HBO Max sorprende con sus nuevas tarifas

HBO Max sorprende con sus nuevas tarifas

27/10/2025 - 12:40 pm
Unión Eléctrica de Cuba anuncia prioridad al suministro eléctrico en el oriente ante el huracán Melissa

Unión Eléctrica de Cuba anuncia prioridad al suministro eléctrico en el oriente ante el huracán Melissa

27/10/2025 - 11:27 am
⏳ Cargando anuncio…
Publicidad
alimentos cuba marzo

Suben los precios y se eliminan subsidios: polémicas medidas del nuevo plan económico en Cuba

27/10/2025 - 11:03 am
alarma oriente cuba

Defensa Civil declara estado de alarma en el oriente cubano ante paso del Huracán Melissa

27/10/2025 - 10:02 am
denuncia abuso fisico infantil

Denuncian brutal caso de maltrato infantil en Cuba: aseguran que los responsables fueron detenidos

27/10/2025 - 9:01 am
⏳ Cargando anuncio…
Publicidad
transporte

Cancelan vuelos, trenes y ómnibus hacia el oriente de Cuba por el huracán Melissa

27/10/2025 - 8:01 am
divisas cuba hoy

Mercado negro del dólar en Cuba marca nuevos máximos: así amanecen las tasas hoy

27/10/2025 - 7:01 am
rubiera

Rubiera advierte: «Melissa es uno de los huracanes más peligrosos que ha visto el Caribe»

27/10/2025 - 6:01 am
⏳ Cargando anuncio…
Publicidad
Entradas anteriores
Página1 Página2 … Página2.869 Siguiente →
Buscar Números La Bolita Tasas de Cambio Seguir Envíos Empresas Buscar Vuelos Tarifa Eléctrica Aeropuertos Cód. Telefónicos TV Cubana Radio Cubana Cód. Postales Servicios de Urgencias Parole Aprobados Registros de España Plantas Medicinales

Noticias populares

  • Problemas con la Aduana de Cuba por la entrada de ventiladores desde Miami: qué debes saberProblemas con la Aduana de Cuba por la entrada de ventiladores desde Miami: qué debes saber
  • Estados Unidos: estas personas no tendrán que pasar el nuevo examen de naturalizaciónEstados Unidos: estas personas no tendrán que pasar el nuevo examen de naturalización
  • aeropuerto miami ayudas comidaSin salario por el cierre del gobierno: empleados del Aeropuerto de Miami hacen fila para recibir comida
  • HBO Max sorprende con sus nuevas tarifasHBO Max sorprende con sus nuevas tarifas
  • florida mega millionsMega Millions sube a 714 millones de dólares: uno de los premios más grandes en la historia de la lotería

Estados Unidos

  • Problemas con la Aduana de Cuba por la entrada de ventiladores desde Miami: qué debes saberProblemas con la Aduana de Cuba por la entrada de ventiladores desde Miami: qué debes saber
  • Estados Unidos: estas personas no tendrán que pasar el nuevo examen de naturalizaciónEstados Unidos: estas personas no tendrán que pasar el nuevo examen de naturalización
  • aeropuerto miami ayudas comidaSin salario por el cierre del gobierno: empleados del Aeropuerto de Miami hacen fila para recibir comida
  • HBO Max sorprende con sus nuevas tarifasHBO Max sorprende con sus nuevas tarifas
  • florida mega millionsMega Millions sube a 714 millones de dólares: uno de los premios más grandes en la historia de la lotería

Emigración

  • ley nietos pasaporte español cuba nacionalidadCerró el plazo de la Ley de Nietos, pero algunos aún podrán obtener la nacionalidad española en Cuba
  • costos visa mexico cubanosMéxico duplicaría precios de visas, permisos de residencia y otros trámites
  • envios miami cubaCuba en crisis sanitaria: envíos desde Miami, la red de supervivencia
  • Lo que debes saber sobre la «prueba de pago» que impone Trump a estas visasLo que debes saber sobre la «prueba de pago» que impone Trump a estas visas
  • residencia en españa hijos mayoresHoy vence la Ley de Nietos: más de 100 mil cubano solicitaron la nacionalidad española

🔔 Recibe notificaciones cuando las citas estén activas

Inscribirse Seguir Grupo
🇵🇦
Citas Panamá
Visados y trámites
→
🇲🇽
Citas México
Visado consular
→
🇪🇸
Citas España
Visados Schengen
→
🇺🇸
Lotería de Visas
DV Program USA
→
✈️
Parole Humanitario
Estados Unidos
→

Nuestras aplicaciones

Descarga Directorio Cubano para iOS Descarga Directorio Cubano para Android
© Directorio Cubano 2025 - Todos los derechos reservados. Bajo licencia CC BY-NC-ND 4.0

¡Mantente informado!

Nos gustaría notificarte sobre las últimas noticias y actualizaciones importantes.