Última Hora: Melissa ya es categoría 3 y podría afectar Cuba como huracán categoría 4 o 5

El huracán Melissa pone en alerta a Cuba mientras avanza con fuerza por el Caribe.

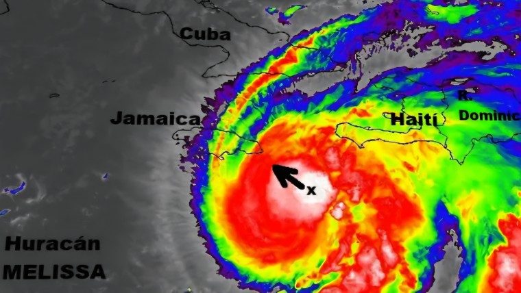
El huracán Melissa continúa fortaleciéndose en su lento desplazamiento por el Caribe y amenaza con impactar el oriente de Cuba como un poderoso ciclón de categoría 4.

Las autoridades cubanas mantienen la alerta máxima en varias provincias, mientras el fenómeno deja ya víctimas y graves daños en Haití y República Dominicana.

Cuba activa la alerta por huracán

El Centro Nacional de Huracanes (NHC) de Estados Unidos informó que Melissa alcanzó la categoría 3 este sábado por la noche, con vientos sostenidos de 115 millas por hora (185 kilómetros por hora).

Según el organismo, el ciclón podría seguir intensificándose antes de tocar tierra en el este de Cuba a mediados de la próxima semana.

El gobierno cubano emitió una alerta para las provincias de Granma, Santiago de Cuba, Guantánamo y Holguín.

Se esperan lluvias de hasta 12 pulgadas (30 centímetros) y fuertes marejadas que podrían provocar inundaciones costeras.

Las autoridades locales iniciaron evacuaciones preventivas y el acopio de suministros. Brigadas de defensa civil trabajan para asegurar techos y estructuras en las zonas más vulnerables.

Jamaica se prepara para un posible impacto directo

Melissa se encontraba a unas 125 millas (200 kilómetros) al sureste de Kingston este sábado.

LEA TAMBIÉN:
La tormenta tropical Melissa avanza por el Caribe con vientos de 85 kilómetros por hora

Los meteorólogos prevén que el centro del huracán pase muy cerca o sobre la isla a comienzos de la próxima semana, con lluvias que podrían alcanzar las 25 pulgadas (64 centímetros).

El primer ministro Andrew Holness pidió a la población mantener la calma pero actuar con precaución. “Insto a los jamaicanos a que se tomen en serio esta amenaza meteorológica”, advirtió.

Los aeropuertos podrían cerrar en las próximas 24 horas y se activaron más de 650 refugios en todo el país.

Graves daños en Haití y República Dominicana

En Haití, las autoridades confirmaron la muerte de tres personas y cinco heridos tras el derrumbe de un muro.

También se reportaron crecidas de ríos, destrucción de puentes y daños en infraestructuras en Sainte-Suzanne, al noreste del país.

En República Dominicana, el paso del sistema ha dejado una víctima mortal y afectado a unas 200 viviendas.

Más de medio millón de personas quedaron sin servicio de agua potable y varias comunidades permanecen aisladas por las inundaciones.

Alerta extendida en el Caribe

El NHC advirtió que Melissa podría provocar inundaciones repentinas y deslizamientos de tierra “catastróficos y potencialmente mortales” en el sur de La Española y Jamaica.

Además, el Departamento de Meteorología de las Bahamas alertó sobre posibles condiciones de tormenta tropical o huracán en las islas del sureste y centro del archipiélago, así como en las Turcas y Caicos.

LEA TAMBIÉN:
NHC de Miami advierte: Melissa se acerca al oriente de Cuba con fuertes lluvias (+ cono de trayectoria)

Melissa es la decimotercera tormenta con nombre de la temporada atlántica, que se extiende del 1 de junio al 30 de noviembre.

Los pronósticos anticipaban una temporada más activa de lo habitual, con hasta 18 sistemas con nombre.

Deja un comentario

Los anuncios serán revisados manualmente y publicados en las próximas horas.
Solo se permiten mensajes respetuosos y relacionados con el tema.