El huracán Beryl hizo grandes estragos en Estados Unidos, sobre todo en Texas. Las fuertes lluvias y vientos provocaron inundaciones severas, por ello, el gobernador Greg Abbott tomó decisiones drásticas sobre la situación.
huracán Beryl
Huracán Beryl impacta Yucatán: advertencias emitidas para México y Texas
El Centro Nacional de Huracanes (NHC) emitió la Advertencia Número 27 sobre el Huracán Beryl, informando que el sistema tropical está cerca de tocar tierra en la Península de Yucatán.
Suspenden algunos vuelos a México por Huracán. Avisos de las aerolíneas
¿Suspenden vuelos a México? El Huracán Beryl, de categoría 3 en esta mañana, se dirigía a la península de Yucatán, cerca de puntos turísticos de Cancún. Debido a ello, algunas aerolíneas mexicanas comenzaron a tomar medidas y suspenden algunos vuelos a estas zonas.
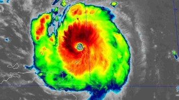
Parte meteorológico sobre el Huracán Beryl, de categoría 3. Alertas y Cono de trayectoria
El Centro Nacional de Huracanes de Miami (NHC, por sus siglas en inglés) actualizó el desarrollo del Huracán Beryl en su paso por el sur de las costas cubanas. Sigue siendo un gran ciclón, de categoría 3. Aquí las alertas y el cono de trayectoria de las 5:00 am.
Ciclón en Cuba hoy: ¿cuáles son los mayores peligros de Beryl?
Según el Instituto de Meteorología, Insmet, el huracán Beryl ha estado moviéndose rápidamente hacia el oeste noroeste durante la noche y la madrugada. ¿Cuáles son los mayores peligros del ciclón en Cuba hoy?
Beryl de categoría 4 estará al mediodía afectando Jamaica, al sur de Cuba
El parte de las 5:00 am del Centro Nacional de Huracanes de Miami, en el sur de Florida, acaba de confirmar, que el Huracán Beryl se mantiene poderoso, de categoría 4 y sobre el mediodía de HOY 3 de julio, estaría afectando Jamaica, al sur del oriente cubano.
Última Hora del Huracán Beryl en Cuba. Afectaciones en el oriente
Especialistas del Instituto de Meteorología de Cuba (Insmet) informaron en su último parte del 2 de julio, que desde HOY, miércoles, 3 de julio, el Huracán Beryl dejaría afectaciones indirectas en el oriente cubano y el resto del país, mientras se traslada por los mares al sur.
Suspenden vuelos ante cercanía del Huracán Beryl
Ante la cercanía o presencia en el Caribe, del poderoso Huracán Beryl, que a las 5:00 am, era de categoría 5, se suspenden algunos vuelos a islas caribeñas y países como Venezuela. Te detallamos a continuación.
Huracán Beryl ya es Categoría 5 y se acerca al sur de las costas de Cuba
El Huracán Beryl ya es un «monstruo» de categoría 5 cuando se acerca al sur de las costas de Dominicana, Haití y Cuba. Desde el miércoles el oriente cubano comenzará a sentir ráfagas altas de viento. Se prevé que se «trague» la isla de Jamaica en las próximas horas.
Meteorología de Cuba explica cómo afectará el Huracán Beryl desde mañana. El Tiempo HOY
Especialistas del Instituto de Meteorología en Cuba (Insmet) detallaron en la noche de este 1 de julio, cómo afectará el Huracán Beryl la costa sur de la isla. Según la meteoróloga Yinelys Bermúdez, este será el tiempo para Cuba HOY.
Última actualización del huracán Beryl, categoría 4 y ganando en organización
El Huracán Beryl, en su boletín número 12 emitido por el Centro Nacional de Huracanes del Servicio Nacional de Meteorología de Miami, se ha convertido en una amenaza extrema mientras su pared del ojo se desplaza sobre la Isla de Carriacou.
Noticia de última hora: huracán Beryl vuelve a ser categoría 4
El Centro Nacional de Huracanes de Miami informa que el huracán Beryl vuelve a ser categoría 4.
¿Cuándo afectará Beryl a Cuba? Pronósticos de la meteoróloga Miriam Teresita Llanes
La meteoróloga Miriam Teresita Llanes actualizó en la TV cubana la trayectoria del huracán Beryl y la influencia que se espera tenga sobre Cuba.
Huracán Beryl de Categoría 4 se acerca a las Islas de Barlovento
El Centro Nacional de Huracanes ha emitido una nueva advertencia crucial sobre el Huracán Beryl, ahora clasificado como un huracán de Categoría 4 extremadamente peligroso, que se está acercando rápidamente a las Islas de Barlovento. Se espera que las condiciones severas comiencen a afectar a las islas a partir de la madrugada del lunes.
Huracán Beryl se fortalece a Categoría 4: Se esperan condiciones peligrosas en las Islas de Barlovento
El Centro Nacional de Huracanes (NHC) ha informado que el huracán Beryl ha escalado rápidamente a una peligrosa categoría 4, convirtiéndose en una amenaza significativa para las Islas de Barlovento. Los aviones cazadores de huracanes de la NOAA y la Reserva de la Fuerza Aérea han registrado vientos máximos sostenidos de 130 mph (215 km/h) con rachas aún más fuertes.