La costa norte de La Habana registra desde la tarde del sábado 31 de enero intensas penetraciones del mar. El fenómeno ha provocado inundaciones en varios barrios cercanos al Malecón habanero y mantiene en alerta a las autoridades locales.
Instituto de Meteorología de Cuba
Pronóstico del tiempo en Cuba para este domingo: nublados, lluvias aisladas y marejadas en el norte
La jornada comenzó tranquila en gran parte del país, aunque el escenario cambiará a medida que avance la mañana.
NHC de Miami advierte: Melissa se acerca al oriente de Cuba con fuertes lluvias (+ cono de trayectoria)
Tormenta tropical Melissa se acerca al oriente de Cuba con fuertes lluvias y riesgo de inundaciones, según última actualización del NHC de Miami.
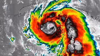
Insmet avisa que Tormenta Melissa se organiza y podría convertirse en huracán pronto
Tormenta tropical Melissa se organiza y podría convertirse en huracán en el mar Caribe central. Aviso número 8 del Insmet a continuación.
Defensa Civil establece fase informativa en el oriente cubano ante Melissa
Defensa Civil establece fase informativa en el oriente de Cuba ante la tormenta tropical Melissa. Más detalles de inmediato.
Melissa se intensifica en el Caribe y podría convertirse en huracán este fin de semana (+ cono de trayectoria)
Tormenta tropical Melissa se mantiene estable en el Caribe, pero podría fortalecerse en los próximos días y convertirse en huracán según el parte del Insmet y NHC de Miami.
La onda tropical del Atlántico sigue avanzando hacia el Caribe con lluvias en su camino
El panorama meteorológico del Atlántico y el Caribe mantiene la atención de los especialistas, que continúan vigilando una activa onda tropical con potencial de desarrollo en los próximos días. Su movimiento hacia el oeste podría influir en el tiempo de varias islas del Caribe a medida que avance el fin de semana.
Última Hora: Instituto de Meteorología de Cuba emite nuevo aviso de ciclón tropical
El Instituto de Meteorología de Cuba (INSMET) lanzó este domingo el Aviso de Ciclón Tropical No. 3 con detalles actualizados de la depresión tropical Nueve.
Aviso de ciclón tropical del Centro de Pronósticos del Instituto de Meteorología de Cuba
Una amplia zona de bajas presiones que se desplazaba sobre el Atlántico oriental durante la madrugada y mañana de este lunes logró suficiente organización para convertirse en la tormenta tropical Erin, el quinto organismo nombrado de la actual temporada ciclónica.
Meteorología: se forma la tormenta tropical Erin. Trayectoria y modelos de pronóstico de Rubiera
Se forma en el Atlántico la tormenta tropical Erin: trayectoria bajo análisis de los modelos meteorológicos.
Cuba y Florida: Alertan de la posible formación de 8 huracanes y 16 tormentas tropicales este 2025
El último informe de la Universidad Estatal de Colorado sobre la temporada ciclónica en el Atlántico mantiene la alerta para Cuba y otras zonas vulnerables del Caribe.
Aviso público sobre el ciclón Andrea del Centro de Huracanes de Miami
Especialistas del Centro Nacional de Huracanes de Miami emitieron un aviso público sobre el ciclón Andrea, el primero en formarse en el Atlántico en esta temporada ciclónica. ¿Cuál es su desarrollo futuro y afectación a Cuba?
¿Por qué es preocupante para Cuba el desarrollo de un sistema ciclónico en el Caribe en esta época del año?
Los meteorólogos se encuentran en alerta ante la posibilidad de que una zona de bajas presiones en el Caribe occidental evolucione hacia un ciclón tropical en los próximos días.
Última Hora: Instituto de Meteorología de Cuba monitorea área con potencial ciclónico al sur de Cuba
Desde esta mañana el Centro Nacional de Huracanes ha elevado sus porcentajes de probabilidades de desarrollo ciclónico en el Mar Caribe, por lo que muy posiblemente tendremos un nuevo ciclón este fin de semana o a inicios de la siguiente.
ÚLTIMA HORA: Aviso del Centro de Pronósticos del Instituto de Meteorología de Cuba
El Instituto de Meteorología de Cuba ha advertido que las condiciones atmosféricas y oceánicas en el Caribe y el Atlántico son favorables para el desarrollo de un sistema ciclónico en los próximos días.