El Caribe vive horas de gran tensión mientras un poderoso huracán avanza lentamente sobre sus aguas.
La población en varias islas se mantiene resguardada ante una tormenta que los expertos describen como una de las más intensas de los últimos años.
Las autoridades locales y regionales han emitido alertas extremas ante el peligro que representa este fenómeno, que podría causar daños catastróficos en viviendas, carreteras y servicios esenciales. Los aeropuertos y puertos se encuentran cerrados, mientras los gobiernos coordinan operativos de emergencia y refugios.
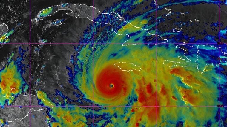
Según el Centro Nacional de Huracanes de Estados Unidos, el huracán Melissa alcanzó una presión central de 906 milibares y vientos máximos sostenidos de 150 nudos, equivalentes a unos 280 kilómetros por hora. Estos datos fueron confirmados por un avión de reconocimiento de la Fuerza Aérea, que también registró condiciones extremadamente violentas en el ojo del sistema.

Trayectoria hacia el norte del Caribe
El fenómeno comenzó a girar lentamente hacia el norte y se mueve a una velocidad aproximada de 6 kilómetros por hora. En su trayectoria prevista, Melissa impactará directamente a Jamaica en la noche de este lunes y durante el martes, para luego atravesar el oriente de Cuba entre la noche del martes y la madrugada del miércoles. Posteriormente, continuará su desplazamiento hacia las Bahamas y las islas Turcas y Caicos.
El pronóstico indica que el ciclón podría llegar a las cercanías de Bermudas el jueves en la noche, ya debilitado, pero aún con fuerza de huracán. Los expertos estiman que el sistema perderá intensidad gradualmente al interactuar con tierra y enfrentar vientos en altura, aunque seguirá siendo peligroso en su paso por el Caribe.

Daños y riesgos para la población
Las autoridades de Jamaica advirtieron que nadie debe salir de sus refugios durante el paso del huracán. Se esperan inundaciones repentinas, deslizamientos de tierra y daños estructurales severos, especialmente en zonas montañosas. En la costa sur, el aumento del nivel del mar podría provocar marejadas de varios metros.
En Haití y la República Dominicana también se prevén lluvias intensas y deslizamientos de tierra durante los próximos días, mientras que en el oriente cubano se han acelerado las evacuaciones ante la posibilidad de marejadas e inundaciones.

Contexto y comparaciones recientes
Melissa es actualmente uno de los ciclones más potentes registrados en el Atlántico en los últimos años, comparable con los huracanes Irma y Dorian. Los meteorólogos no descartan fluctuaciones en su intensidad por posibles cambios en la estructura interna del sistema, pero advierten que continuará siendo extremadamente peligroso a corto plazo.
Los gobiernos de la región piden calma y cooperación, mientras los equipos de emergencia se preparan para las labores de rescate y recuperación que podrían extenderse por semanas.
