El huracán Melissa, uno de los más intensos en la historia del Atlántico, sigue dejando una estela de destrucción tras su paso por Jamaica.
categoría 4
Huracán Milton alcanza categoría 4 y podría llegar con 5 a Florida. NHC advierte del potencial peligro de este sistema
Este lunes, el huracán Milton se ha intensificado rápidamente, convirtiéndose en una tormenta de categoría 4 con vientos sostenidos de 150 mph (240 km/h). Todo el sur de la Florida se encuentra en emergencia.
Noticia de última hora: huracán Beryl vuelve a ser categoría 4
El Centro Nacional de Huracanes de Miami informa que el huracán Beryl vuelve a ser categoría 4.
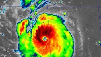
Huracán Beryl de Categoría 4 se acerca a las Islas de Barlovento
El Centro Nacional de Huracanes ha emitido una nueva advertencia crucial sobre el Huracán Beryl, ahora clasificado como un huracán de Categoría 4 extremadamente peligroso, que se está acercando rápidamente a las Islas de Barlovento. Se espera que las condiciones severas comiencen a afectar a las islas a partir de la madrugada del lunes.
Huracán Beryl se fortalece a Categoría 4: Se esperan condiciones peligrosas en las Islas de Barlovento
El Centro Nacional de Huracanes (NHC) ha informado que el huracán Beryl ha escalado rápidamente a una peligrosa categoría 4, convirtiéndose en una amenaza significativa para las Islas de Barlovento. Los aviones cazadores de huracanes de la NOAA y la Reserva de la Fuerza Aérea han registrado vientos máximos sostenidos de 130 mph (215 km/h) con rachas aún más fuertes.
Idalia ya es huracán categoría 4 y el Centro Nacional de Huracanes habla de «marejadas catastróficos y vientos potencialmente destructivos»
El huracán Idalia ha ascendido a la categoría 4 y continúa intensificándose rápidamente. Es ahora mismo una seria amenaza para Florida con el riesgo de marejadas ciclónicas catastróficas y vientos destructivos. Así lo ha informado el Centro Nacional de Huracanes (NHC) de Estados Unidos.
Huracán Idalia podría entrar con categoría 4 a Estados Unidos y generar daños catastróficos en Florida
El huracán Idalia continúa fortaleciéndose a un ritmo acelerado, y ha alcanzado ya categoría 3 en las primeras horas de este miércoles. Ya tiene vientos sostenidos de 120 mph, y los expertos indican que podría entrar con categoría 4.
Alerta Estados Unidos: Huracán Ian entrará con categoría 4 a la Florida tras grandes destrozo en Cuba
El huracán Ian impactará sobre la costa oeste de Florida ya con categoría 4 entre el miércoles o jueves. Ello en dependencia de la velocidad de si aumenta o disminuye su velocidad de traslación y si penetra a Estados Unidos por un punto más o menos al norte de la ciudad de Tampa.