Huracán Beryl ya es Categoría 5 y se acerca al sur de las costas de Cuba

Directorio Cubano Instala la última versión en tu dispositivo

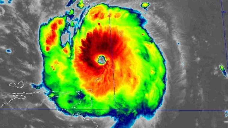
El Huracán Beryl ya es un «monstruo» de categoría 5 cuando se acerca al sur de las costas de Dominicana, Haití y Cuba. Desde el miércoles el oriente cubano comenzará a sentir ráfagas altas de viento. Se prevé que se «trague» la isla de Jamaica en las próximas horas.

El Centro Nacional de Huracanes (NHC, por sus siglas en inglés) acaba de actualizar su aviso público, el de las 5:00 am, dentro de tres horas emitirá otro. ¿Cómo se ha desarrollado Beryl? Pues sigue manteniendo la categoría 5 que alcanzó en la madrugada de este martes 2 de julio.

«Se espera que Beryl traiga vientos y marejada ciclónica que pondrán en peligro la vida de las personas en Jamaica, este miércoles. Se emitió vigilancia de huracán para las Islas Caimán», detallaron.

Beryl, categoría 5: cuándo pasará por la costa sur de Cuba 

¿La ubicación del Huracán Beryl a las 5:00 am? Ubicación: 14.6n 66.9w, a 595 km de la isla Beata, en República Dominicana, y a 1120 km al este de Kingston, Jamaica. Vientos máximos sostenidos: 270 km/h y con un movimiento actual de oeste-noroeste, a 35 km/h. Presión central mínima: 935 mb.

LEA TAMBIÉN:
Atención, esto es lo que va a entregar el MINCIN en las bodegas de La Habana

El gobierno de las Islas Caimán emitió una alerta de Huracán para todas las Islas Caimán y una advertencia de huracán está vigente para Jamaica, Gran Caimán, Pequeño Caimán y Caimán Brac.

Mientras, una advertencia de tormenta tropical está vigente para la costa sur de República Dominicana desde Punta Palenque hacia el oeste a la frontera con Haití y a la costa sur de Haití desde la frontera con República Dominicana.

Se pronostica que continuará moviéndose rápidamente hacia el oeste-noroeste durante los próximos dos días y girará hacia el oeste el jueves. En la trayectoria pronosticada, el centro de Beryl se moverá rápidamente a través del sureste y Mar Caribe central hoy y se pronostica que pasará cerca de Jamaica el miércoles y las islas Caimán el jueves, siempre al sur de las costas cubanas.

«Beryl es un huracán de categoría 5 en la región Saffir-Simpson, con una escala de vientos huracanados. El debilitamiento debería comenzar más tarde hoy, pero Beryl todavía tendrá la intensidad de un huracán mayor a medida que avance por el sur del Caribe», aseguraron desde el NHC.

LEA TAMBIÉN:
Pronostican lluvias en gran parte de Cuba entre el 17 y el 20 de marzo: esto dice el meteorólogo Ariel Maturell

cono trayectoria beryl cuba hoy