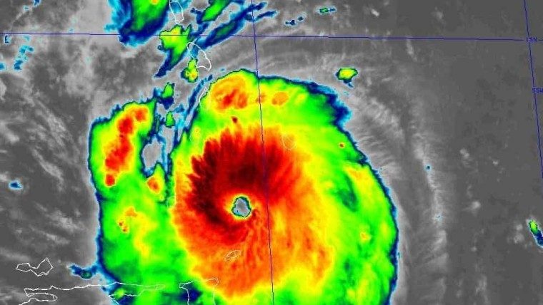
El Centro Nacional de Huracanes de Miami informa que el huracán Beryl vuelve a ser categoría 4.
«Los datos obtenidos de los aviones de los escuadrones @53rdWRS y @NOAA_HurrHunter indican que el huracán Beryl se ha fortalecido rápidamente, alcanzando la categoría 4 en la escala de Saffir-Simpson, convirtiéndose en una amenaza extremadamente peligrosa», tuitearon hace solo minutos.
Se espera que esta mañana comiencen a sentirse vientos posiblemente mortales y marejadas ciclónicas en las Islas de Barlovento, añaden en su mensaje.
De acuerdo al último parte, a las 8:00 a.m. AST (12:00 UTC), el ojo del Huracán Beryl se localizaba cerca de la latitud 12.0 Norte y longitud 60.5 Oeste.
Beryl se está desplazando hacia el oeste-noroeste a una velocidad aproximada de 20 mph (31 km/h). Se prevé que mantenga este rápido movimiento hacia el oeste a oeste-noroeste en los próximos días.
Según el pronóstico, el centro de Beryl atravesará las Islas de Barlovento esta mañana y continuará su trayectoria por el sureste y centro del Mar Caribe hasta el miércoles.
Vientos del huracán Beryl, categoría 4.
Los datos de los Cazadores de Huracanes de la NOAA y la Fuerza Aérea han revelado que los vientos máximos sostenidos del huracán han aumentado a cerca de 130 mph (215 km/h) con ráfagas más fuertes.
Beryl ha alcanzado la categoría 4, y aunque se esperan fluctuaciones en su intensidad durante el próximo día, seguirá siendo un huracán intenso y extremadamente peligroso mientras su núcleo atraviesa las Islas de Barlovento hacia el Caribe oriental.
Eso sí, se prevé algún debilitamiento en el Caribe central para mediados de semana, aunque Beryl mantendrá su condición de huracán.
Hay que tener en cuenta que los vientos con fuerza de huracán se extienden hasta 35 millas (55 km) desde el centro, y los vientos con fuerza de tormenta tropical se extienden hasta 125 millas (205 km). El Aeropuerto Internacional de Grantley Adams en Barbados, reportó recientemente vientos sostenidos de 47 mph (76 km/h) con ráfagas de hasta 69 mph (111 km/h).
 

Megusta el comentario
Quiciera mantenerme informada sobre la trayectoria de el huracán beryl
Megusta